Antep Fıstığı Kabuklu Biti Nedir? Zararları Ve Mücadele Yöntemleri
Antep fıstığı kabuklu biti (Lepidosaphes pistaciae Archangelskaya), Antep fıstığı üretiminde en yaygın ve ekonomik zarara yol açan emme tipi zararlılardan biridir. Halk arasında "kabuklu bit", "fıstık kabuk biti" veya "dal kabuk biti" olarak da bilinir. Bu zararlı özsuyu emerek ağaçları zayıflatır, verim düşüklüğü, sürgün kuruması ve meyve gelişiminde gerileme gibi ciddi sonuçlar doğurabilir. Aşağıda zararlının tanımı, biyolojisi, zarar şekli ve mücadele yöntemleri ayrıntılı şekilde anlatılmıştır 👇

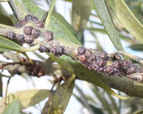
🪲 1. Antep Fıstığı Kabuklu Bitinin Tanımı
-
Bilimsel adı: Lepidosaphes pistaciae Archangelskaya
-
Takım: Hemiptera (yarım kanatlılar)
-
Familya: Diaspididae (Kabuklu bitler)
-
Konukçusu: Başta Pistacia vera (Antep fıstığı) olmak üzere bazı Pistacia türleri.
🔹 Ergin dişi:
-
Sabit (hareketsiz) halde yaşar.
-
2–3 mm uzunluğunda, kahverengi-gri, kalkan (kabuk) şeklindedir.
-
Vücudu dal ve sürgün yüzeyine sıkıca yapışıktır.
-
Kabuk altındaki gerçek vücut yumuşaktır.
🔹 Ergin erkek:
-
Çok küçüktür, kısa ömürlüdür ve kanatlıdır.
-
Genellikle fark edilmeden ölür.
🔹 Yumurta:
-
Dişinin kabuğu altında bulunur.
-
Dişi başına 30–80 kadar yumurta bırakabilir.
🔹 Nimf (larva):
-
Açıldığında sarımsı renkte, hareketli ve küçüktür ("yürüyen larva" dönemi).
-
Kısa süre sonra sabitlenir ve kabuk oluşturarak beslenmeye başlar.
🔄 2. Yaşam Döngüsü ve Biyolojisi
-
Türkiye’de yılda 1 döl verir.
-
Kışı dişi bireylerin kabuğu altında yumurta halinde geçirir.
-
İlkbaharda (Nisan–Mayıs) hava ısındığında yumurtalar açılır ve yürüyen larvalar (1. dönem nimf) yayılmaya başlar.
-
Bu dönemde zararlı en hassas evresindedir (mücadele için en uygun zaman).
-
Yaz boyunca gelişimini tamamlayan dişiler ağustos – eylül aylarında yeniden yumurta bırakır.
🍃 3. Zarar Şekli
-
Larva ve dişiler bitkinin kabuk, dal, sürgün ve bazen meyve yüzeyinde sabitlenir.
-
Bitki özsuyunu emer, bu da:
-
Yapraklarda sararma ve dökülme,
-
Sürgünlerde zayıflama ve kuruma,
-
Meyvede küçülme ve buruşma,
-
Ağaçta genel gelişme geriliği ve verim düşüklüğü ile sonuçlanır.
-
🔸 Yoğun bulaşma belirtileri:
-
Dallar üzerinde kahverengi-gri kabuk kümeleri (yüzey pütürlü görünür).
-
Ağaç "tozlu" veya "isli" görünüm alır.
-
Zamanla sürgünler kurur ve ağaçta dalların ölümü başlayabilir.
⚠️ 4. Zararı Artıran Faktörler
-
Bakımsız, yaşlı veya zayıf ağaçlar
-
Budamanın yetersiz yapılması
-
Sık dikim ve havalanmayan bahçeler
-
Ağaçların aşırı su veya besin stresi
-
Doğal düşmanların yok edilmesi (özellikle yanlış ilaçlama sonucu)
🛠️ 5. Mücadele Yöntemleri
🌱 A. Kültürel Önlemler
-
Kış budaması:
-
Kurumuş ve yoğun bulaşık dallar kışın (Aralık–Şubat) budanarak imha edilmelidir.
-
-
Ağaç sağlığını koruma:
-
Düzenli sulama, dengeli gübreleme, ağaçların stresten uzak tutulması.
-
-
Bahçe temizliği:
-
Kabuklu bitlerin barınabileceği kuru dallar, kabuk altı artıkları temizlenmelidir.
-
-
Ağaç aralarının havalanması:
-
Sık dikim yapılan bahçelerde aralıkların seyreltilmesi, havalanmayı artırır.
-
🐞 B. Biyolojik Mücadele
Kabuklu bitlerin birçok doğal düşmanı vardır. Bu faydalı böcekler zararlıyı doğal denge içinde baskılar:
-
Yırtıcılar: Chilocorus bipustulatus (iki noktalı kırmızı böcek), Exochomus quadripustulatus, Rhyzobius lophanthae
-
Parazitoitler: Aphytis lepidosaphes, Encarsia citrina
🟢 Not: Faydalı böcekleri korumak için geniş spektrumlu insektisitlerden kaçınılmalı, mümkünse biyolojik mücadele desteklenmelidir.
💧 C. Kimyasal Mücadele
Kabuklu bitlerle kimyasal mücadele yalnızca hassas dönem olan'yürüyen larva dönemi'nde etkilidir. Kalkan oluştuktan sonra ilaç, zararlının altına nüfuz edemez.
🕐 İlaçlama Zamanı:
-
Nisan sonu – Mayıs ortası arasında,
-
Yumurtaların açıldığı ve larvaların henüz hareketli olduğu dönem.
(Bu dönem, büyüteçle yapılan kontrollerle veya sarı yapışkan tuzaklarla belirlenebilir.)
🧪 Kullanılabilecek Etken Maddeler (örnek):
-
Pyriproxyfen (büyüme düzenleyici, çevre dostu)
-
Chlorpyrifos-methyl, spirotetramat, acetamiprid, buprofezin
-
Yağ bazlı kış ilaçları (mineral yağlar) → kış sonunda kabuk altındaki yumurtaları azaltmak için
⚠️ Dikkat:
-
Kış ilaçları tomurcuklar uyanmadan hemen önce,
-
Yaz ilaçlaması ise yürüyen larva döneminde yapılmalıdır.
-
Arıların aktif olduğu dönemde ilaçlamadan kaçınılmalıdır.
🧰 D. Entegre Mücadele Takvimi
| Dönem | Uygulama | Amaç |
|---|---|---|
| Kış (Şubat – Mart) | Kuru, bulaşık dalların budanması, kışlık yağ uygulaması | Yumurtaları azaltmak |
| İlkbahar (Nisan – Mayıs) | Yürüyen larva dönemi ilaçlaması | Yeni bulaşmayı engellemek |
| Yaz (Haziran – Ağustos) | Zararlı yoğunluğu izlenir, gerekirse biyolojik kontrol yapılır | Popülasyon baskısını korumak |
| Sonbahar (Eylül – Kasım) | Zararlı yoğunluğu tespit edilir, gelecek sezon planlaması yapılır | İzleme ve değerlendirme |
🧠 6. Özet Bilgiler
| Özellik | Bilgi |
|---|---|
| Bilimsel Adı | Lepidosaphes pistaciae |
| Zararlı Evresi | Dişi ve nimf (emme zararı yapar) |
| Kışı Geçirdiği Dönem | Yumurta (kabuk altında) |
| Yılda Kaç Döl | 1 |
| Zarar Şekli | Dallarda ve meyvelerde özsuyu emerek kuruma ve verim düşüklüğü |
| En Uygun Mücadele Zamanı | Nisan – Mayıs (yürüyen larva dönemi) |
- Antep Fıstığı Dal Güvesi Nedir? Zararları Ve Mücadele Yöntemleri
- Antep Fıstığı Göz Kurdu Nedir? Zararları Ve Mücadele Yöntemleri
- Antep Fıstığı Gözkurdu Zararlısı Ve Mücadele Yöntemleri
- Antep Fıstığı İç Güvesi Nedir? Zararları Ve Mücadele Yöntemleri
- Antep Fıstığı Karagöz Kurdu Nedir? Zararları Ve Mücadele Yöntemleri
- Çiftçi Mehmet
- ***@sorhocam.com

