Yaprak Biti Nedir? Zararları Ve Mücadele Yöntemleri
Meyve ağaçlarında görülen yaprak bitleri (Aphidler), dünyada ve Türkiye'de en yaygın ve en yıkıcı zararlı gruplarından biridir. Sizin bahsettiğiniz türler, farklı meyve ağaçlarında uzmanlaşmış, her biri kendine özgü zarara neden olan önemli türlerdir. İşte bu yaprak biti türlerinin genel özellikleri, neden oldukları zararlar ve mücadele yaklaşımları:
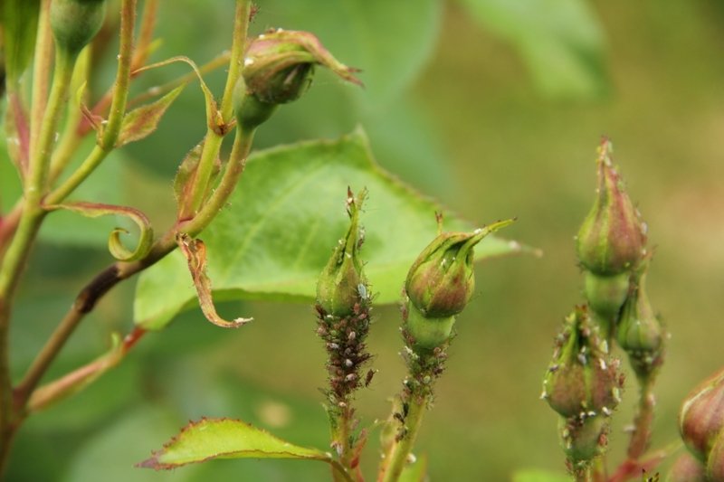
🌳 Meyve Ağaçlarında Görülen Önemli Yaprak Biti Türleri
Yaprak bitleri, bitki özsuyunu emerek beslenirler ve hızlı üremeleri sayesinde kısa sürede büyük koloniler oluştururlar. Bu durum, virüs taşıyıcılığı ve bal salgısıyla birleşince zararın boyutları artar.

1. Elma Yeşil Yaprak Biti (Aphis pomi)
| Özellik | Açıklama |
| Konukçu | Elma, armut, ayva (en yaygın), alıç. |
| Tanımı | Parlak yeşil renkte, 1.5–2.5 mm boyunda küçük böceklerdir. |
| Zarar Şekli | 1. Doğrudan Zarar: Genç sürgünler, taze yapraklar ve yaprak sapları üzerinde yoğun koloniler oluşturur. Beslenme sonucu sürgünlerde kısalma (bodurlaşma) ve yapraklarda kıvrılma görülür. |
| 2. Dolaylı Zarar: Balımsı madde (Honeydew) salgılar. Bu salgı üzerinde Karaballık (Fümaj) mantarı gelişir, fotosentezi engeller ve meyvenin pazar değerini düşürür. |
2. Elma Gri Yaprak Biti (Disaphis plantaginea)
| Özellik | Açıklama |
| Konukçu | Elma (birincil konukçu), bağışıklığı zayıf yabani otlar (ikincil konukçu). |
| Tanımı | Gri-pembe renkte, üzerinde mumsu bir tabaka bulunan, orta büyüklükte bir türdür. |
| Zarar Şekli | En tehlikeli elma yaprak biti türlerinden biridir. |
| 1. Yaprak Deformasyonu: Beslendiği yapraklar kuvvetlice içe doğru, gal benzeri bir şekilde kıvrılır ve kalınlaşır (kıvrılan yaprağın içi bitlerle doludur). | |
| 2. Meyve Deformasyonu: Meyvelerde şekil bozukluklarına (küçük ve çarpık kalma) ve kalitenin düşmesine neden olur. |
3. Şeftali Yaprak Biti (Myzus persicae)
| Özellik | Açıklama |
| Konukçu | Şeftali, kayısı, badem (kış konukçusu); çok sayıda sebze ve süs bitkisi (yaz konukçusu). |
| Tanımı | Rengi mevsimsel olarak değişir; kış konukçusunda yeşil, yaz konukçusunda sarımsı veya pembe tonlardadır. Çok hızlı çoğalır. |
| Zarar Şekli | 1. Yaprak Deformasyonu: Şeftali yapraklarında uzunlamasına ikiye katlanarak kıvrılmaya neden olur. |
| 2. Çiçek Zararı: Çiçeklerin açılmasını engeller, erken kurumalarına ve dökülmelerine yol açar. | |
| 3. Virüs Taşıyıcılığı: 100'den fazla virüsün (özellikle patates ve sebze virüsleri) vektörüdür. Bu yönüyle en tehlikeli yaprak bitlerinden biridir. |
4. Erik Unlu Yaprak Biti (Hyalopterus pruni)
| Özellik | Açıklama |
| Konukçu | Erik, şeftali, kayısı, badem (kış konukçusu); kamış (Phragmites sp.) (yaz konukçusu). |
| Tanımı | Yeşil renkte ve vücudu hafif mumsu/unlu bir tabaka ile kaplıdır (adını buradan alır). |
| Zarar Şekli | 1. Doğrudan Zarar: Yaprağın alt yüzeyinde yoğun koloniler oluşturur. Beslendiği yaprağın alt yüzeyinde beyazımtırak, unlu bir görünüm oluşur. |
| 2. Bal Salgısı: Yoğun bal salgısı ve karaballık oluşumu gözlenir. |
5. Şeftali Gövde Kanlı Biti (Pterochloroides persicae)
| Özellik | Açıklama |
| Konukçu | Şeftali, kayısı, badem, erik. |
| Tanımı | Oldukça büyük boyutlu (2–4 mm), koyu kahverengi/siyah renkli ve vücudu kırmızımsı-kahverengi tüylerle kaplıdır. Ezildiğinde kırmızımsı bir renk verir (bu yüzden'Kanlı Biti' denir). |
| Zarar Şekli | 1. Gövde ve Dal Zararı: Diğer yaprak bitlerinin aksine, esas olarak ağacın kalın dallarında ve gövdesinde beslenir. |
| 2. Kurumaya Neden Olma: Özsuyu emerek ağacın hızla zayıflamasına, sakızlanma görülmesine ve yoğun bulaşmalarda dalların kurumasına neden olur. |
6. Kırmızı Gal Yaprak Bitleri (Disaphis spp.)
| Özellik | Açıklama |
| Konukçu | Elma (en yaygın), alıç. |
| Tanımı | Genellikle grimsi-beyaz renkte, ancak en belirgin özelliği oluşturduğu lekedir. |
| Zarar Şekli | Kırmızı Lekeler: Beslendiği yaprakların üzerinde kırmızı veya morumsu lekeler (gal benzeri yapılar) oluşturur. Bu lekeler ile kolayca tanınır. Yoğun zararda yapraklar kıvrılır, dökülür ve meyveler küçük kalır. |
⚔️ Yaprak Bitleri ile Genel Mücadele Yöntemleri
Yaprak bitleriyle mücadele, popülasyonun çok hızlı arttığı göz önüne alınarak, Entegre Zararlı Yönetimi (IPM) çerçevesinde yürütülmelidir.

1. Kültürel Önlemler
-
Yabancı Ot Kontrolü: Yaprak bitlerinin kış aylarında veya yaz döneminde barındığı, çoğaldığı ve beslendiği yabancı otlar (özellikle sebze bitkilerine geçiş yapan Myzus persicae için) bahçeden imha edilmelidir.
-
Budama: Kış döneminde, üzerinde yaprak biti yumurtası bulunan bulaşık sürgünler ve dallar budanarak bahçeden uzaklaştırılmalıdır.
-
Ağaç Sağlığı: Ağaçların dengeli sulanması ve gübrelenmesi ile sağlıklı ve kuvvetli tutulması, zarara karşı direnci artırır.
2. Biyolojik Mücadele (Çok Önemli)
Yaprak bitlerinin popülasyonu, doğada bulunan avcı ve asalak böcekler (doğal düşmanlar) sayesinde büyük ölçüde baskı altında tutulur.
-
Predatörler (Yırtıcılar): Uğur Böcekleri (Coccinellidae), Altıngözler (Chrysopidae) ve Yerebasarlar (Syrphidae) larvaları, yaprak bitlerinin en önemli doğal avcılarıdır.
-
Parazitoitler (Asalaklar): Özellikle Aphidius türleri, yaprak bitlerinin içine yumurta bırakarak onları mumyalara dönüştürür.
Kritik Nokta: Kimyasal ilaçlamalar bu faydalı böceklere zarar verebileceği için, ilaçlama ancak doğal düşmanların baskılayamadığı yüksek popülasyonlarda yapılmalıdır.
3. Kimyasal Mücadele
Kimyasal mücadele, doğal düşmanların korunmasına özen gösterilerek ve doğru zamanda yapılmalıdır.
-
Zamanlama: İlaçlamaya, ilkbaharda %15 bulaşık sürgün görüldüğünde karar verilir. İlaçlama, ilk koloni oluşumları görüldüğünde, yani yaprak bitlerinin henüz yaprakları kıvırmadığı dönemde yapılmalıdır. Çünkü yaprak kıvrıldıktan sonra ilaçlar bitin bulunduğu yere ulaşamaz.
-
Kış İlaçlaması: Bazı türlerin (özellikle Elma Gri Yaprak Biti) kış yumurtalarına karşı, gözler kabarmadan önce kışlık yağlarla mücadele yapılabilir.
-
İlaç Seçimi: Doğal düşmanlara en az zarar veren, ruhsatlı ve yaprak bitlerine özgü seçici insektisitler tercih edilmelidir.
❓ Sıkça Sorulan Sorular (SSS)
1. Yaprak bitleri meyve ağaçlarına en çok hangi yollarla zarar verir? Yaprak bitleri üç temel yolla zarar verir: 1) Özsuyu emme ile bitkiyi zayıflatma ve yaprakları kıvırma, 2) Balımsı madde (Honeydew) salgılayarak karaballık (fümaj) oluşumuna yol açma, 3) Virüsleri taşıyarak (özellikle Şeftali Yaprak Biti - Myzus persicae) bitki hastalıklarını yayma.
2. Elma Gri Yaprak Biti (Disaphis plantaginea) zararı nasıl ayırt edilir? Bu türün zararı, yaprakların kuvvetlice içe doğru, gal benzeri şekilde kıvrılması ve meyvelerde ciddi şekil bozuklukları (küçük ve çarpık kalma) görülmesiyle ayırt edilir.
3. Şeftali Gövde Kanlı Biti (Pterochloroides persicae)'nin diğer yaprak bitlerinden farkı nedir? Diğer yaprak bitlerinin aksine, bu tür esas olarak genç sürgünler yerine ağacın kalın dallarında ve gövdesinde koloniler kurarak özsu emer ve yoğun beslenme sonucu ağaçta sakızlanma ve dal kuruması görülmesine neden olur.
4. Yaprak bitleriyle mücadelede biyolojik yöntem neden önemlidir? Yaprak bitlerinin Uğur Böcekleri, Altıngözler ve Asalak Arılar gibi çok sayıda doğal düşmanı vardır. Kimyasal mücadele bu faydalı böceklere zarar vererek yaprak bitlerinin hızla tekrar çoğalmasına neden olabilir. Bu yüzden doğal düşmanları korumak, uzun vadeli ve sürdürülebilir mücadelede en kritik faktördür.
5. Kimyasal ilaçlama için en doğru zamanlama nedir? İlaçlama, yaprak bitlerinin ilk koloni oluşumları görüldüğünde ve henüz yaprakları kıvırıp kendilerini koruma altına almadığı dönemde yapılmalıdır. Genellikle ilkbaharda %15 bulaşık sürgün görüldüğünde kimyasal mücadeleye başlanması önerilir.
- Aaa
- ***@sorhocam.com
- Osman
- ***@sorhocam.com
- emin
- ***@sorhocam.com
- kemal
- ***@sorhocam.com
- Nuran
- ***@sorhocam.com
- XYxx
- ***@sorhocam.com
- Armağan
- ***@sorhocam.com
- Arafa KARAÇELEBİ
- ***@
- Hasan
- ***@
- Servet
- ***@sorhocam.com
Tüketilmesi sakıncalıdır. Çünkü hastalık taşırlar.
- ORHAN BERBER
- sco***@hotmail.com
IHLAMUR ÇİÇEĞİNDE YAPRAK BİTİ GİBİ BİR ŞEY VAR. YEŞİL ÇOK KÜÇÜK BU ZARARLIMIDIR. TÜKETİLDİĞİNDE SAĞLIĞA ZARARI VARMI, BU BİR HASTALIKMIDIR
- hal
- hal***@hotmail.com
mesela sirkeli su püskürtmek olabilir mi?
- Halil Acar
- ***@
- Admin
- ***@
- Saliha
- ***@
- Mesut Akça
- ***@
Güllerde kırmızı bit olmaz, akar olur zaten onuda gözünle göremessin. O senin gördüğün yeşil yaprak bitidir. Genelde görülen yaprak biti renkleri ise siyah, sarı, kahve ve gri renkli olur.
- Admin
- ***@
- Merhaba
- ***@
- Mert Tezcan
- ***@









